天気-晴 気温-10℃
東伊豆/富戸コンディション:穏やか
透明度-20m 水温-14~16℃
初来店限定2ビーチ¥12,600 1月~3月20ダイブ未満限定レンタル無料
こんにちは!YOKOです(^^♪
今日は久しぶりのご来店のHさんとマンツーマンダイブ✌
YUTA先生は体験ダイビング!海は穏やか!透明度良し!で最高の体験ダイビング日和でしたね。
浅場にはイワシやキビナゴ、アオリイカの群れも多くて初体験の水中世界を楽しんでいただけたのではないでしょうか(*^^)v
もちろんファンチームもガッツリ楽しんできましたよ~!
1本目はハチジョウタツ狙い📸
ゲスト様がハチジョウタツ撮影中にシムランス探し…👀💦
残念ながら見つからなかったので代わりに、ウミウシを紹介させてもらいましたが…ウミウシはお断りとの事でした笑
ハチジョウタツ撮影後にはテトラポット周辺の群れ撮影!
その間にまたまたYOKOはウミウシ探し👀💦
まだ推しパワーが効いているようでミリサイズのウミウシ探せましたぁw


ハチジョウタツの次に時間をかけてじっくり撮影していただいたのが、ヒメギンポのペア💕
オスがメスの周りをグルグルと猛アピールしていても、メスはガン無視!

フリソデエビもまだまだ見れていますが…何やらイソカサゴがフリソデエビをガン見してたんですよね💦
イソカサゴには申し訳ないけど、少しフリソデエビから離れてもらったんだけど…その後、どうなったか心配(@_@;)

たまには定番の生物も撮影してみる(*・ω・)(*-ω-)(*・ω・)(*-ω-)ウンウン♪
同じ生物でも背景や角度などで感じが変わって面白いですよ。

正面からだととぼけた顔で可愛い感じでしたよ。
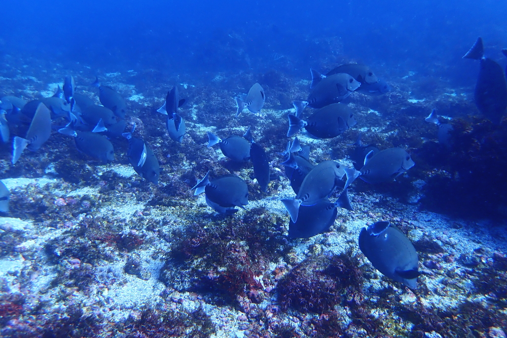
ニザダイ好きにはたまらないくらいの群れの数でした。
あまりにも群れていたのでおもわず撮影しちゃいました( *´艸`)

他にもイロカエルアンコウ、クマドリカエルアンコウ、ガラスハゼ、ムチカラマツエビ、イソコンペイトウガニ、イソギンチャクエビ、アカオビハナダイ、ルージュミノウミウシ、サラサウミウシ、ジボガウミウシ属の1種4、コケギンポ、ミナミギンポ、コマチコシオリエビ等々
透明度抜群の海へ是非!遊びに来てください。
お待ちしております。
<日帰りツアー>
下記ツアー日程でもホームの富戸ダイビングは実施しています。
ツアー情報はこちらでチェック!→ツアー情報
①2月11日 熱海3ボート 満席
東伊豆・西伊豆、行ってみたい場所があればお問合せください♪<ボートダイビング出港予定>
2月7日(土)~11日(水・祝)
富戸の日 ボートイベント開催!
期間中は1名からでもボート出港が可能です!
早い者勝ちですよー、既にご予約入ってきています!
<ファンダイビング予約空き状況>
*ご予約受付終了日
2月17日
下記の日程はご予約前にお問合せください
2月8日・2月28日
<リゾートツアー>
①復活!パラオツアー
待望の海外ツアー!
ヒーリング6年ぶりの開催、ダイバー憧れの地へ!
日程:①2月25日(水)~3月1日(日)②2月26(木)~3月2日(月)
①満席②空きあり
担当:①チーフ②YUTA
②与論島ツアー
とにかく透明度が最高の海!水中神殿は映えスポットですよ!
日程:6月4日(木)~7日(日)
好評につき残席僅かです!
担当:YUTA
③西表島ツアー
ヒーリング人気ツアー!秘境の地リピート率高!
日程:10月22日(木)~25日(日)
すでに予約入ってます!
担当:チーフorYUTA

このブログを担当したスタッフ
志村洋子(Yoko先生)
海の話を皆さんとするのが大好き!
女性ダイバーのお悩み承ります!
PADIインストラクターNo460446・潜水士